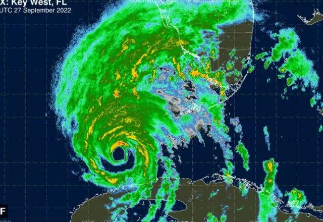
O furacão Ian chegou aos Estados Unidos e deve atingir, entre essa 4ª e 5ª feira (28 e 29.set) o Oeste da Flórida, junto ao Golfo do México, com uma tempestade de categoria três ou quatro na escala Saffir-Simpson, que vai até cinco. Segundo previsão do MetSul, o ciclone tropical, que provocou grandes estragos em Cuba, deve ser acompanhado por ventos de 200 km/h e elevados volumes de chuva.
A principal preocupação é com as áreas costeiras, que devem ser inundadas devido à elevação do mar. Diante do cenário, o governador da Flórida, Ron DeSantis, declarou estado de emergência e pediu aos moradores que se preparem para a tempestade. “É preciso entender que os impactos serão muito grandes, com inundações catastróficas e marés de tempestade que ameaçam a vida”, disse.
É esperado que os volumes de chuva no Estado ultrapassem 500 milímetros em muitos pontos, acumulando 1000 milímetros em algumas regiões. A previsão resultou na emissão de um alerta de nível quatro, o mais alto, para inundações na região central da Flórida, o que inclui a área de Orlando, onde parques como a Disney e a Universal anunciaram o fechamento das atrações nos próximos dias.
Diante da proporção da tempestade, o presidente dos Estados Unidos, Joe Biden, também declarou estado de emergência, autorizando o Departamento de Segurança Interna e a Agência Federal de Gerenciamento de Emergências (FEMA) a coordenar e fornecer assistência para proteger os moradores.
A chegada do furacão Ian no estado norte-americano acontece após a tempestade ter atingido Cuba, onde uma pessoa morreu. Os fortes ventos e chuvas provocados também resultaram em um apagão na ilha, deixando 11 milhões de habitantes sem energia. Autoridades ainda devem avaliar os danos causados, bem como a acomodação das milhares de pessoas que precisaram ser evacuadas.






















































